X
快速聯絡
諮詢專線:
線上諮詢:
或由專員為您服務,請留下
快速
聯絡

楊明國中透天近交流道

桃園市楊梅區新農街287號

  • Uhomes
  • Uhomes
  • Uhomes
  • Uhomes
  • Uhomes
  • Uhomes
  • Uhomes
  • Uhomes
  • Uhomes
  • Uhomes
  • Uhomes
  • Uhomes
  • 相片
  • 地圖
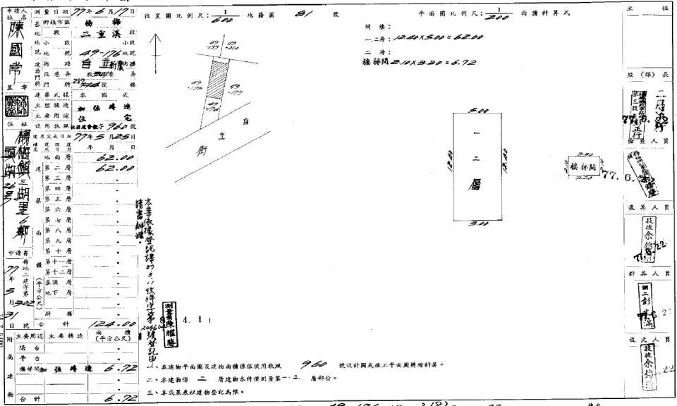
  • 建物平面圖
  • 法院拍賣公告
公告底價
905萬
開標結果
停拍撤回
  • 公告坪數
    92.75
  • 每坪單價
    9.75

    每坪單價以法院公告坪數概算,詳細拆算方式請洽專員。

  • 開 標 日
    2023/03/09 14:30
  • 拍  次
    1拍
  • 點交情形
    點交
  • 保 證 金
    181萬
聯 絡 人
徐專員
調整字級

物件資料
公 告 坪 數
92.75
主 建 坪 數
37.50
附 屬 坪 數
公 設 坪 數
其 他 坪 數
電梯樓梯間:2.03
增 建 坪 數
53.22
土 地 坪 數
35.69
車 位 坪 數
車 位 屬 性
-
捷 運/火 車
房 屋 類 型
透天厝
結   構
加強磚造
屋   齡
35
樓 層 別
全棟/2
房 屋 用 途
住家用
會員資訊

請登入會員查看

公告資料
拍 賣 地 點
臺灣桃園地方法院
案   號
111年度司執字第86536號
拍 賣 範 圍
全部
拍 賣 原 因
分割共有物
抵 押 權
抵押權拍定後塗銷
筆   錄
使用情形
據本院民國111年10月18日查封筆錄所載,債務人在場表示自行居住使用。復據債權人陳報查封時之照片可知建物部分牆面有壁癌之情形。本件標的建物拍定後依現況點交。

本件係變賣共有物之拍賣程序,依民法第824條第7項之規定,除買受人為共有人外,共有人(含執行債權人、債務人)有依相同條件優先承買之權;又若共有人一人到場應買拍得,則其餘共有人無優先承買權。如經優先承買權人主張優先承買時,拍定人所繳保證金須待該優先承買權之行使確定後,始無息退還。

依鑑價報告記載本件標的土地之使用分區為「楊梅都市計畫(民國62年09月14日」住宅區,惟本件拍賣土地之實際土地使用分區管制之規定及開發限制,請應買人自行洽主管機關詢問,俾決定是否應買,拍定後不得以此為理由請求撤銷拍定。

本標內暫編第7578建號之建物,係未辦理建築物所有權第一次登記之不動產且無獨立出入口,拍定後拍定人不能持本院核發之權利移轉證書辦理所有權移轉登記,當事人及拍定人亦不得以面積不符,請求增減價金或撤銷拍定;且若該建物經建築主管機關認定為違章建築,拍定人應自行承擔受拆除之危險,請投標人注意。
內容展開

本物件資訊如有遺漏,以法院公告為準。

地圖
公 告 底 價
905
開 標 結 果
停拍撤回
  • 公告坪數
    92.75
  • 每坪單價
    9.75

    每坪單價以法院公告坪數概算,詳細拆算方式請洽專員。

  • 開 標 日
    2023/03/09 14:30
  • 拍  次
    1拍
  • 點交情形
    點交
  • 保 證 金
    181萬
聯 絡 人
徐專員

留 言