X
快速聯絡
諮詢專線:
線上諮詢:
或由專員為您服務,請留下
快速
聯絡

天長地久 金山生活圈

新北市金山區中華路366號之8五樓

  • Uhomes
  • Uhomes
  • Uhomes
  • Uhomes
  • Uhomes
  • Uhomes
  • Uhomes
  • Uhomes
  • Uhomes
  • Uhomes
  • Uhomes
  • Uhomes
  • 相片
  • 地圖
  • 建物平面圖
  • 法院拍賣公告
公告底價
540.3萬
開標結果
停拍延緩
  • 公告坪數
    27.99
  • 每坪單價
    19.30

    每坪單價以法院公告坪數概算,詳細拆算方式請洽專員。

  • 開 標 日
    2025/09/24 10:00
  • 拍  次
    1拍
  • 點交情形
    不點交
  • 保 證 金
    108.1萬
聯 絡 人
吳經理
調整字級

物件資料
公 告 坪 數
27.99
主 建 坪 數
21.28
附 屬 坪 數
2.72
公 設 坪 數
3.99
其 他 坪 數
增 建 坪 數
土 地 坪 數
5.97
車 位 坪 數
車 位 屬 性
-
捷 運/火 車
房 屋 類 型
華廈
結   構
RC
屋   齡
31
樓 層 別
5/6
房 屋 用 途
住家用
會員資訊

請登入會員查看

公告資料
拍 賣 地 點
臺灣基隆地方法院
案   號
114年度司執字第8878號
拍 賣 範 圍
全部
拍 賣 原 因
拍賣抵押物
抵 押 權
抵押權拍定後塗銷
筆   錄
點交否:不點交

使用情形
本院於民國114年6月18日至現場查封及履勘,債務人不在場。系封建物(位於天長地久社區)現為第三人占有使用中。無分管停車位。
依據民國114年6月提出到院之估價報告稱:「本案標的屬『天長地久社區』6層華夏住宅之第5層單位。位處新北市金山區8公尺寬之中華路旁,東南側距離金山國小約300公尺。土地屬都市計畫內土地。地勢平坦。土地全部開發利用。面臨都市計畫道路(道路路寬8公尺)。土地臨街面正面寬度約66公尺。土地臨街平均深度約35公尺。建物結構:鋼筋混凝土。已使用30.58年。無增建。無危險設施或嫌惡設施。經估價師於公開資訊網路蒐集並無(海砂屋、輻射屋、地震受創、火災受損、非自然死亡)資料紀錄。」等語。
關於系封建物有無其他足以影響交易之特殊情事(例如:海砂屋、輻射屋、因地震受創、因火災受損、嚴重漏水、或其他情形),已如上所載。惟投標(應買、承受)人於投標(應買、承受)前,務請親至現場再行查明(自行向債權人、當地鄰里長、鄰居、派出所進一步探詢)後,慎重考慮是否應買。又倘查得系封建物有足以影響交易之情事,應於拍賣前儘速陳報本院。
拍定後不點交。

備註
一、上開不動產2宗合併拍賣,請投標人分別出價。
二、拍賣最低價額合計新台幣:5,403,000元,以總價最高者得標。
三、保證金新台幣:1,081,000元。
內容展開

本物件資訊如有遺漏,以法院公告為準。

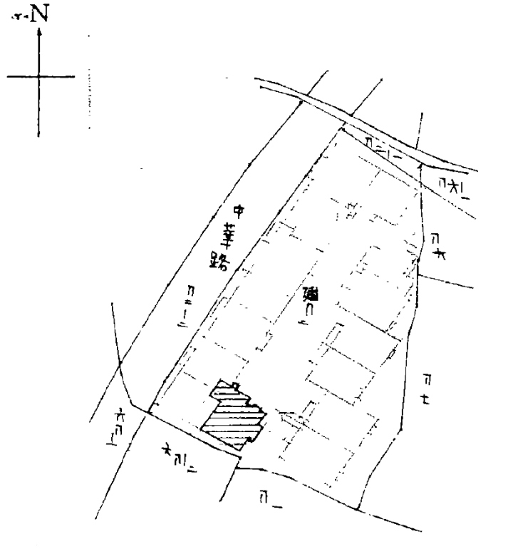
地圖
公 告 底 價
540.3
開 標 結 果
停拍延緩
  • 公告坪數
    27.99
  • 每坪單價
    19.30

    每坪單價以法院公告坪數概算,詳細拆算方式請洽專員。

  • 開 標 日
    2025/09/24 10:00
  • 拍  次
    1拍
  • 點交情形
    不點交
  • 保 證 金
    108.1萬
聯 絡 人
吳經理

您可能感興趣

留 言