X
快速聯絡
諮詢專線:
線上諮詢:
或由專員為您服務,請留下
快速
聯絡

吉祥園邊間雅寓 四腳亭車站

新北市瑞芳區中央路48巷吉祥園15號5樓

  • Uhomes
  • Uhomes
  • Uhomes
  • Uhomes
  • Uhomes
  • Uhomes
  • Uhomes
  • Uhomes
  • Uhomes
  • Uhomes
  • Uhomes
  • Uhomes
  • 相片
  • 地圖
  • 建物平面圖
  • 法院拍賣公告
公告底價
182.4萬
開標結果
拍定192萬
  • 公告坪數
    31.47
  • 每坪單價
    5.79

    每坪單價以法院公告坪數概算,詳細拆算方式請洽專員。

  • 開 標 日
    2024/03/19 14:30
  • 拍  次
    3拍
  • 點交情形
    點交
  • 保 證 金
    36.5萬
聯 絡 人
葉專員
調整字級

物件資料
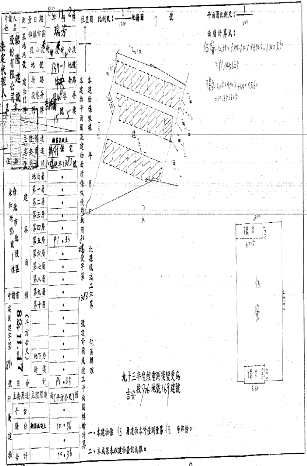
公 告 坪 數
31.47
主 建 坪 數
27.63
附 屬 坪 數
3.13
公 設 坪 數
0.71
其 他 坪 數
增 建 坪 數
土 地 坪 數
11.88
車 位 坪 數
車 位 屬 性
-
捷 運/火 車
台鐵四腳亭車站
房 屋 類 型
公寓
結   構
RC
屋   齡
31
樓 層 別
5/5
房 屋 用 途
住家用
會員資訊

請登入會員查看

公告資料
拍 賣 地 點
臺灣基隆地方法院
案   號
112年度司執字第30906號
拍 賣 範 圍
全部
拍 賣 原 因
拍賣抵押物
抵 押 權
抵押權拍定後塗銷
筆   錄
使用情形
一、本件於現場查封時,經會同債權人代理人、轄區員警到場,因敲門無人應門,由鎖匠開鎖後進入,屋內無水、無電,屋內遺留桌椅、鋼琴、部分傢俱等,拍定後依現況點交。
二、關於本件標的是否有「海砂屋、輻射屋、地震受創、火災受損、建物內有非自然死亡等情形」,新北市政府消防局函覆自105年1月1日至112年11月16日,未受理該址火災案件;新北市政府工務局函覆系爭建物未列管於921及331之地震受創建築物、亦未列管為高氯離子鋼筋混凝土建築物;行政院原子能委員會函覆系爭建物未包含於放射性污染建築物偵測紀錄中;新北市政府警察局瑞芳分局函覆,該址有110年8月12日發生債務人因不明原因死亡之鑑識勘查紀錄,請應買人特別注意,拍定後不得異議。依強制執行法第69條之規定,拍賣物買受人就物之瑕疵無擔保請求權,請應買人自行查明,不得於拍定後主張。

設定他項權利情形:抵押權共設定新臺幣220萬元,拍定後全部塗銷。
內容展開

本物件資訊如有遺漏,以法院公告為準。

地圖
公 告 底 價
182.4
開 標 結 果
拍定192萬
  • 公告坪數
    31.47
  • 每坪單價
    5.79

    每坪單價以法院公告坪數概算,詳細拆算方式請洽專員。

  • 開 標 日
    2024/03/19 14:30
  • 拍  次
    3拍
  • 點交情形
    點交
  • 保 證 金
    36.5萬
聯 絡 人
葉專員

留 言