X
快速聯絡
諮詢專線:
線上諮詢:
或由專員為您服務,請留下
快速
聯絡

現代三合院 近民享生活圈

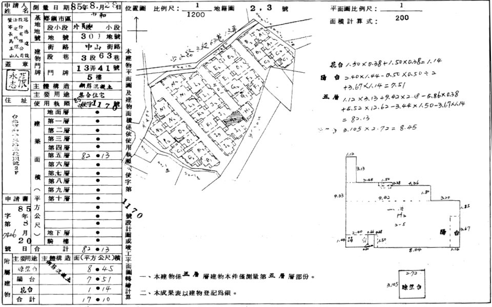
新北市中和區中山路三段63巷13弄41號5樓

  • Uhomes
  • Uhomes
  • Uhomes
  • Uhomes
  • Uhomes
  • Uhomes
  • Uhomes
  • Uhomes
  • Uhomes
  • 相片
  • 地圖
  • 建物平面圖
  • 法院拍賣公告
公告底價
818萬
開標結果
拍定821萬
  • 公告坪數
    33.00
  • 每坪單價
    24.78

    每坪單價以法院公告坪數概算,詳細拆算方式請洽專員。

  • 開 標 日
    2022/02/15 09:30
  • 拍  次
    2拍
  • 點交情形
    點交
  • 保 證 金
    164萬
聯 絡 人
調整字級

物件資料
公 告 坪 數
33.00
主 建 坪 數
24.84
附 屬 坪 數
2.61
公 設 坪 數
3.00
其 他 坪 數
瞭望台:2.55
增 建 坪 數
土 地 坪 數
9.62
車 位 坪 數
車 位 屬 性
-
捷 運/火 車
房 屋 類 型
公寓
結   構
RC
屋   齡
26
樓 層 別
5/5
房 屋 用 途
住家用
會員資訊

請登入會員查看

公告資料
拍 賣 地 點
臺灣新北地方法院
案   號
110年度司執字第35283號
拍 賣 範 圍
全部
拍 賣 原 因
拍賣抵押物
抵 押 權
抵押權拍定後塗銷
筆   錄
點交否:點交
使用情形 一、民國110年9月29日查封時,社區江總幹事表示,不動產為空屋,債務人從未繳納過管理費,無外推增建之情形,亦無足以影響交易之特殊情事,然每戶房子多少有輕微漏水之情形,無停車位。
內容展開

本物件資訊如有遺漏,以法院公告為準。

地圖
公 告 底 價
818
開 標 結 果
拍定821萬
  • 公告坪數
    33.00
  • 每坪單價
    24.78

    每坪單價以法院公告坪數概算,詳細拆算方式請洽專員。

  • 開 標 日
    2022/02/15 09:30
  • 拍  次
    2拍
  • 點交情形
    點交
  • 保 證 金
    164萬
聯 絡 人

留 言