X
快速聯絡
諮詢專線:
線上諮詢:
或由專員為您服務,請留下
快速
聯絡

華江家園 近暖暖車站

基隆市暖暖區源遠路89巷11號3樓

  • Uhomes
  • Uhomes
  • Uhomes
  • Uhomes
  • Uhomes
  • Uhomes
  • Uhomes
  • Uhomes
  • Uhomes
  • Uhomes
  • Uhomes
  • Uhomes
  • 相片
  • 地圖
  • 建物平面圖
  • 法院拍賣公告
公告底價
127.6萬
開標結果
拍定132.6萬
  • 公告坪數
    28.44
  • 每坪單價
    4.48

    每坪單價以法院公告坪數概算,詳細拆算方式請洽專員。

  • 開 標 日
    2023/10/17 14:30
  • 拍  次
    2拍
  • 點交情形
    點交
  • 保 證 金
    25.6萬
聯 絡 人
林協理
調整字級

物件資料
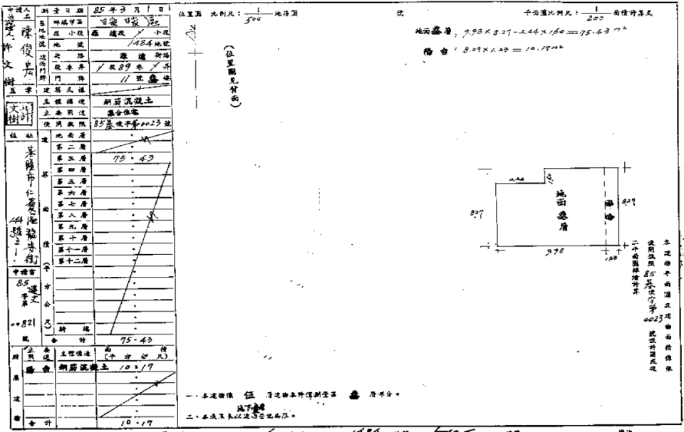
公 告 坪 數
28.44
主 建 坪 數
22.81
附 屬 坪 數
3.07
公 設 坪 數
2.56
其 他 坪 數
增 建 坪 數
土 地 坪 數
8.77
車 位 坪 數
車 位 屬 性
-
捷 運/火 車
台鐵暖暖車站
房 屋 類 型
公寓
結   構
RC
屋   齡
27
樓 層 別
3/5
房 屋 用 途
住家用
會員資訊

請登入會員查看

公告資料
拍 賣 地 點
臺灣基隆地方法院
案   號
111年度司執字第27477號乙標
拍 賣 範 圍
全部
拍 賣 原 因
清償債務
抵 押 權
抵押權拍定後塗銷
筆   錄
使用情形
1、民國112年3月27日履勘時,債務人不在場,會同員警及鎖匠開門入內,本件執行標的與相鄰建物(門牌號碼:源遠路89巷12號3樓,非本件執行標的,不在拍賣範圍內)打通使用,屋內應久未有人居住,無水無電,無門窗,為毛胚屋而無裝潢,室內置有大量廢棄物,地面鋪設有磁磚,陽台、天花板有因漏水造成輕微水泥剝落、鋼筋外露之情形,使用現況為空屋,無人居住使用。另本件執行標建物及對應土地持分之所有權分屬不同人所有,且土地部分產權複雜,拍定後之法律關係需由拍定人自理,請應買人注意,拍定後點交。
內容展開

本物件資訊如有遺漏,以法院公告為準。

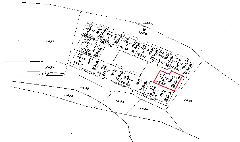
地圖
公 告 底 價
127.6
開 標 結 果
拍定132.6萬
  • 公告坪數
    28.44
  • 每坪單價
    4.48

    每坪單價以法院公告坪數概算,詳細拆算方式請洽專員。

  • 開 標 日
    2023/10/17 14:30
  • 拍  次
    2拍
  • 點交情形
    點交
  • 保 證 金
    25.6萬
聯 絡 人
林協理

留 言