X
快速聯絡
諮詢專線:
線上諮詢:
或由專員為您服務,請留下
快速
聯絡

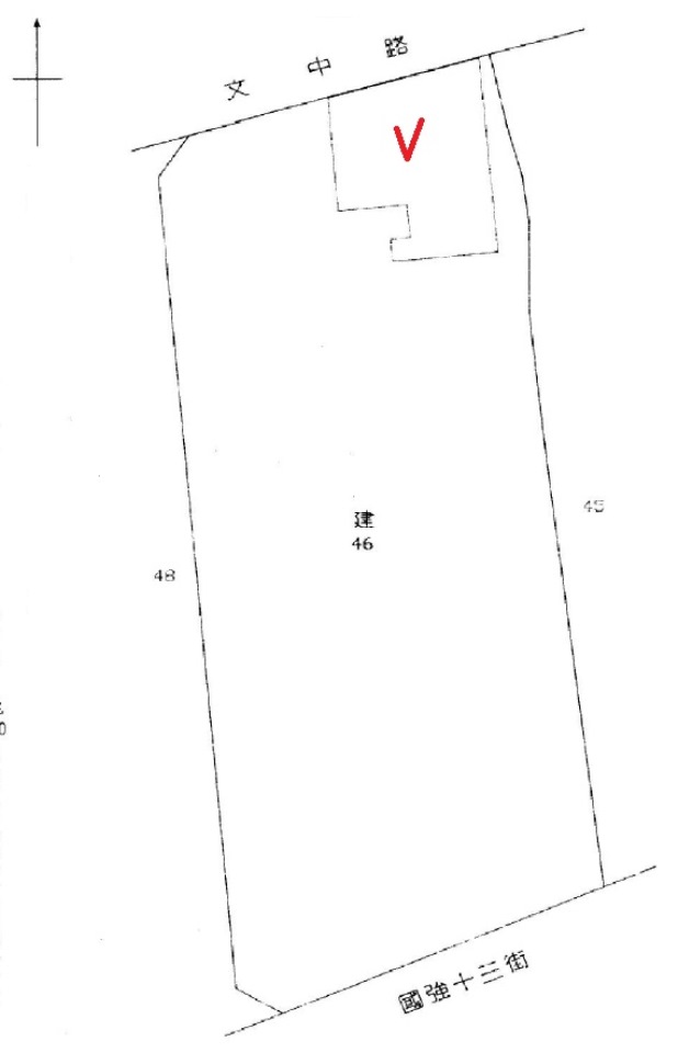
波特曼花園廣場 龍安國小

桃園市桃園區文中路745號2樓

  • Uhomes
  • Uhomes
  • Uhomes
  • Uhomes
  • Uhomes
  • Uhomes
  • Uhomes
  • Uhomes
  • Uhomes
  • Uhomes
  • Uhomes
  • Uhomes
  • 相片
  • 地圖
  • 建物平面圖
  • 法院拍賣公告
公告底價
1,405.1萬
開標結果
拍定1572萬
  • 公告坪數
    90.25
  • 每坪單價
    15.56

    每坪單價以法院公告坪數概算,詳細拆算方式請洽專員。

  • 開 標 日
    2026/02/11 10:30
  • 拍  次
    特拍
  • 點交情形
    點交
  • 保 證 金
    281.1萬
聯 絡 人
徐專員
調整字級

物件資料
公 告 坪 數
90.25
主 建 坪 數
60.85
附 屬 坪 數
7.65
公 設 坪 數
21.75
其 他 坪 數
增 建 坪 數
土 地 坪 數
10.87
車 位 坪 數
車 位 屬 性
-
捷 運/火 車
房 屋 類 型
電梯大樓
結   構
RC
屋   齡
27
樓 層 別
2/13
房 屋 用 途
辦公室
會員資訊

請登入會員查看

公告資料
拍 賣 地 點
金融拍賣中心
案   號
114桃金職九字第117號
拍 賣 範 圍
全部
拍 賣 原 因
給付票款
抵 押 權
抵押權拍定後塗銷
筆   錄
點交否:部份點交、部份不點交
使用情形
本件拍賣標的建物於民國113年10月28日查封時,無法入內,據社區總幹事在場稱自113年6月到任起無人出入,該住戶配於地下一樓配屬一格機車停車格(編號為84號);113年12月20日查封時,仍無法入內;114年3月17日查封時,地政人員稱建物無增建。據債權人陳報之現場執行照片,建物現應無人使用,但有存放辦公室桌椅。再據鑑價報告內容所載本件拍賣標的係作為辦公室使用,建物外觀維護狀況、建物室內保養維護狀況均為普通,肉眼判斷尚無壁癌及滲漏水等瑕疵。本件建物點交,土地為坐落基地不點交。
備註
一、上開不動產2宗合併拍賣,請投標人分別出價。
二、拍賣最低價額合計新台幣:壹仟肆佰零伍萬壹仟元,以總價最高者得標。
三、保證金新台幣:貳佰捌拾壹萬壹仟元。
四、抵押權拍定後均塗銷。
五、本件拍賣標的為縱貫公路桃壢間都市計劃(民國83年09月5日)之第二種住宅區;惟上開證明書僅供參考,最新使用分區,或其他使用管制及開發等限制,請應買人自行查明詳情後始投標應買,拍定後不得以此為爭執。
六、據桃園市政府建築管理處114年7月8日桃建照字第1140052728號函,本件拍賣標的46地號土地領有桃園市政府核發(88)桃縣工建使字第桃00110號使用執照,請應買人注意。
七、查封時在場人所述內容僅供參考,法院不做實體認定,因建物登記謄本未記載有停車位,故是否確實有停車位?編號為何?位於何地等事項請應買人自行明,如有爭議,以實體確定判決為準。
八、本件拍賣標的如有建物,法院已儘量將調查所得之輻射屋、海砂屋、地震受創、嚴重漏水、火災受損、建物內有非自然死亡或其他足以影響交易之特殊情事等項,於使用情形欄載明,如使用情形欄未特別載明,即表示經法院以現場調查等方式予以調查後尚未發現有上開影響交易價格之情形。惟鑑於司法資源有限及衡平執行費用支出,縱經法院以通常方式予以調查,仍難保證絕無上情,此部分仍請應買人自行查明後始投標應買,拍定後不得以此為爭執。
九、本件標的物所有權人或使用人如積欠工程受益費及水電費、瓦斯費或管理費等費用,應由拍定人自行與相關單位洽商解決。
內容展開

本物件資訊如有遺漏,以法院公告為準。

地圖
公 告 底 價
1,405.1
開 標 結 果
拍定1572萬
  • 公告坪數
    90.25
  • 每坪單價
    15.56

    每坪單價以法院公告坪數概算,詳細拆算方式請洽專員。

  • 開 標 日
    2026/02/11 10:30
  • 拍  次
    特拍
  • 點交情形
    點交
  • 保 證 金
    281.1萬
聯 絡 人
徐專員

留 言